Montgomery County Pennsylvania Township Maps

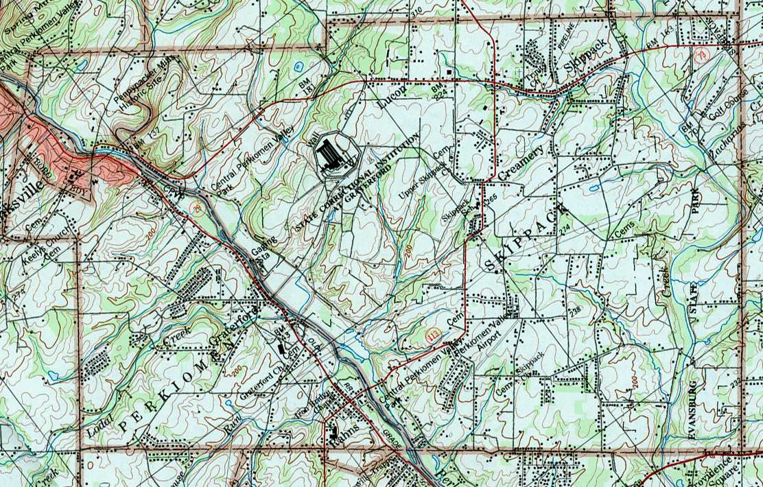
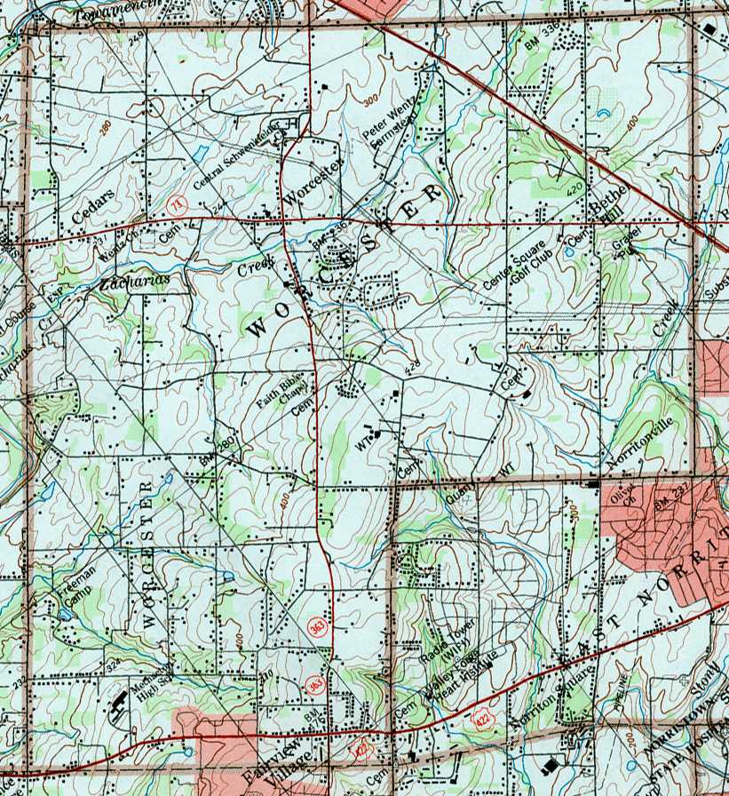
Image Map: This is a clickable image map of townships and boroughs in Montgomery County Pennsylvania. A text list of the township maps is shown below. The township images are cropped from a 1/50,000 USGS Geological Survey Map of Montgomery County dated 1984; based on 1/24,000 maps dated 1973 through 1983. Adjacent counties shown on the image map have active links to their USGS maps. Note that some townships are combined into one image. The orientation of the image map below AND the USGS township maps have been rotated about 38° counter-clockwise.

County Genealogy Sites: There are links to Pennsylvania county USGenWeb sites at the bottom of the Pennsylvania Map Index page.

Pennsylvania Map Index

USGS Map Index

To see the whole county map in its true orientation click here (3,798 KB).

Schuylkill County Townships

Douglas and New Hanover Upper and Lower Moreland Abington and Cheltenham Whitemarsh and Springfield Horsham Lower Merion Upper and Lower Gwynedd Upper Dublin Upper Merion East Norriton, West Norriton and Plymouth Hatfield and Montgomery Towamencin Upper and Lower Providence Perkiomen and Skippack Worcester Franconia Lower Salford Marlborough and Salford Upper and Lower Frederick and Upper Salford Limerick Upper, Lower and West Pottsgrove Upper Hanover Douglas and New Hanover Whitpain Berks County Chester County Lehigh County Delaware County Philadelphia Bucks County

List of Montgomery County Township Maps

The list below shows boroughs and villages within each township; however, some townships may be combined in one map. To search for cemeteries, villages and other features visit the USGS GNIS site. Check here for information on how to order US Geological Survey Maps of Pennsylvania counties.


 

Valid HTML 4.01!