Township and borough maps of Jefferson County Pennsylvania from Caldwell's Atlas of Jefferson County Pennsylvania. From actual surveys by Capt. C.T. Arms, C.E., published by J.A. Caldwell, Condit, Ohio, 1878. The Jefferson County Historical and Genealogical Society published a fully indexed reproduction.
|
TOWNSHIP MAPS Atlas page numbers are shown in parentheses. |
||
|---|---|---|
|
Bell (47) Barnett (63) Beaver (127) Clover (85) Eldred (110) Gaskill (132) Heath (38) Henderson (71) |
Knox (36) McCalmont (105) Oliver (70) Pine Creek (51) Perry (98) Polk (119) Porter (142) Rose (62) |
Ringgold (112) Snyder (57) Union (84) Winslow (49) Warsaw (141) Washington (164) Young (47) |
|
BOROUGH MAPS Note: Some boroughs are combined on a page or appear with the township map. |
|||
|---|---|---|---|
| TOWNS | TOWNSHIP | TOWNS | TOWNSHIP |
|
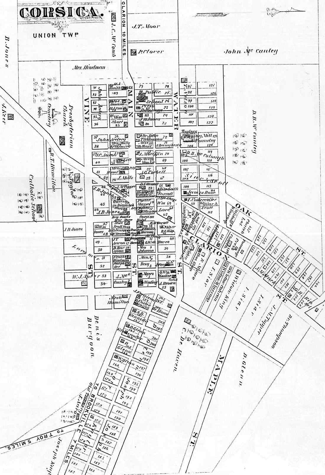
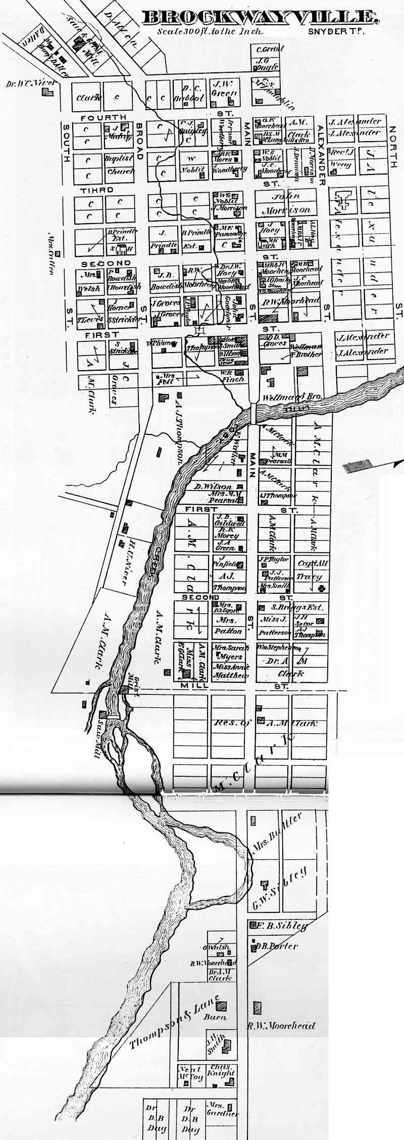
Alaska (71) Brockwayville (62) Bellview (85) Big Run (175) Corsica (75) Clayville (79) Dowlingville (51) Emrickville (165) Fredricksburg (36) Heathville (36) Knoxdale (118) Langville (50) Mayville (50) McKinstryville (84) |
Rose Snyder Rose Big Run Union Young Clover Pine Creek Oliver Beaver Knox Beaver Warsaw Oliver |
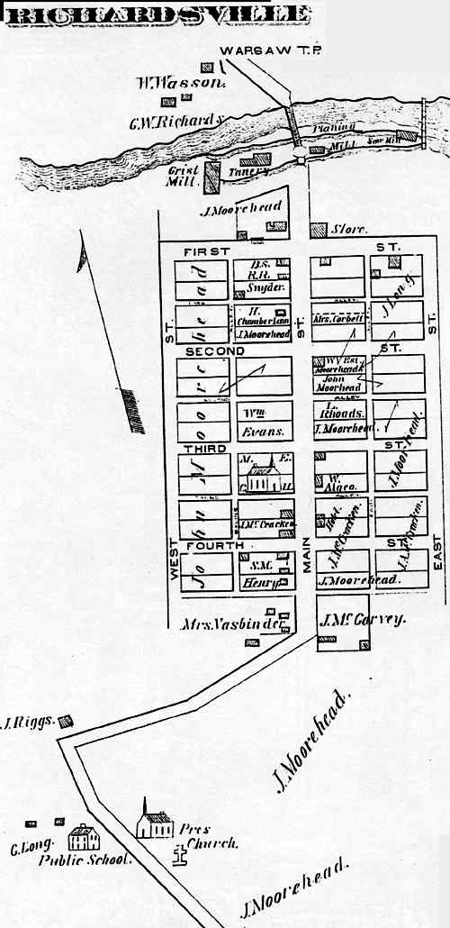
Petersburg (57) Punxsutawney (79) Pekin (80) Perrysville (79) Pleasantville (112) Pottersville (112) Prescottville (132) Port Barnett (164) Ringgold (112) Richardsville (164) Rockdale (175) Seigel (79) Troy (50) Worthville (142) |
Warsaw Young Warsaw Perry Beaver Perry Winslow Pine Creek Ringgold Warsaw Washington Eldred Clover Ringgold |
| Advertising Business Directories | ||
|---|---|---|
|
Baxter Bellview Brockwayville Brookville Corsica Dowlingville |
Frostburg Langville Mayville Perrysville New Petersburg Pleasantville |
Punxsutawney Reynoldsville Ringgold Troy Whitsville Worthville |
Click on map to see larger map.
