1873 ATLAS OF HUNTINGDON COUNTY PENNSYLVANIA

TOWNSHIPS BOROUGHS (Township)
Barree
Brady
Carbon
Cass
Clay
Cromwell
Dublin
Franklin
Henderson
Hopewell
Jackson
Juniata
Lincoln
Morris
Oneida
Penn
Porter
Shirley
Springfield
Todd
Tell
Union
Warrior's Mark
Walker
West
Alexandria (Porter)
Barnettstown (Carbon)
Birmingham (Warrior's Mark)
Broad Top City (Carbon)
Cassville (Cass)
Coalmont (Carbon)
Dudley (Carbon)
Ennisville (Jackson)
Fairfield (West)
Franklinville (Franklin)
Grafton (Penn)
Huntingdon 1st Ward (Oneida)
Huntingdon 2nd Ward (Oneida)
Huntingdon 3rd Ward (Oneida)
Huntingdon 4th Ward (Oneida)
Huntingdon Bus. Dir. (Oneida)
Manor Hill (Barree)
Mapleton (Union)
Marklesburg (Penn)
McAlvey's Fort (Jackson)
McConnellstown (Walker)
Mill Creek (Brady)
Mooresville (West)
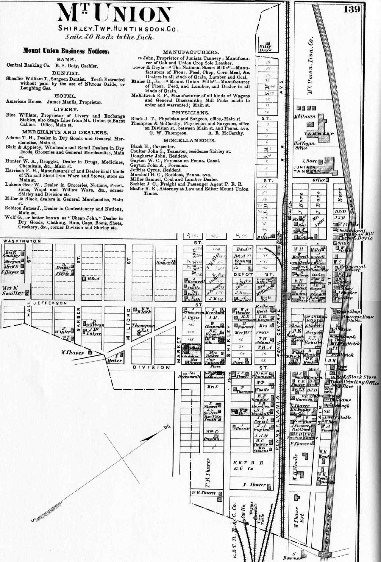
Mt Union (Shirley)
Neff's Mill (West)
Orbisonia (Cromwell)
Petersburg (West)
Saltillo (Clay)
Saulsburg (Barree)
Shade Gap (Dublin)
Shaffersville (Morris)
Shirleysburg (Shirley)
Spruce Creek (Franklin/Morris)
Three Springs (Clay)
Warrior's MarkWarrior's Mark

ATLAS of BLAIR AND HUNTINGDON COUNTIES PENNSYLVANIA From actual Surveys by and under the direction of BEACH NICHOLS Published by A. POMEROY & Co. 31 So. Sixth St. PHILADELPHIA 1873. Eng'd. by Worley & Beacher 31 So. Sixth St. Philad'a. Printed by F. Bourquin 31 So. Sixth St. Philad'a. Entered according to act of Congress in the year 1873 by a. Pomeroy & Co. in the Office of the Librarian of Congress Washington.

Back to Pennsylvania Map Archive
Updated: 13 Dec 2000, 05:26